

































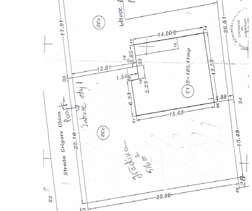
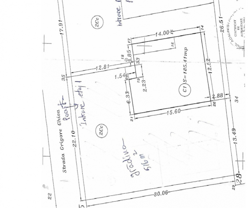
Apartament intr-o vila cu curte si gradina proprie.
Vecinul de la Parter are intrare separata din strada Orizontului.
Apartamentul este complet mobilat si utilat, are centrala termica.
La etajul 1: Living cu terasa, bucatarie, 3 dormitoare, unul cu balcon, baie mare cu fereastra.
La Mansarda: Living, dormitor, baie, uscatorie.
Structura este din cadre de beton si BCA, iar Mansarda din caramida de beton, are izolatie termica la exterior si interior.
Curtea este pavata iar gradina are pomi fructiferi, flori, put cu hidrofor.